Mapa
Oblíbené
0
židovský hřbitov
Komentáře
Ubytování
Galerie obrázků
židovský hřbitov v Ivančicích
Severozápadní roh hřbitova, sekce 9 a 6.
© Tomáš Berka, 09/2009
židovský hřbitov v Ivančicích
Sekce 9 je nejrozsáhlejší plochou s ojedinělými shluky náhrobků. Tento je poblíž obřadní síně.
© Tomáš Berka, 09/2009
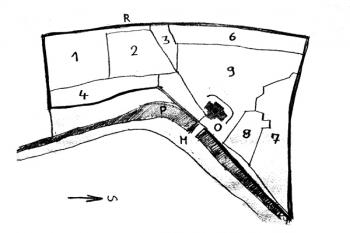
schéma hřbitova
M - Mřenková ulice; P - Mřenkový potok; O - obřadní síň; R - Rabínský vršek; 1-9 - sekce 1-9
© Tomáš Berka, 09/2009
židovský hřbitov v Ivančicích
Sekce 1 s pomníky zemřelých v Ivančickém internačním táboře v letech 1939–42.
© Tomáš Berka, 09/2009
židovský hřbitov v Ivančicích
Tzv. Nový hřbitov s pomníky hlavně z 20. stol. Sekce 1 leží na pozemku přikoupeném v roce 1876.
© Tomáš Berka, 09/2009
židovský hřbitov v Ivančicích
Tzv. Nový hřbitov s pomníky hlavně z 20. stol. Sekce 1 leží na pozemku přikoupeném v roce 1876.
© Tomáš Berka, 09/2009
židovský hřbitov v Ivančicích
Pohled ze sekce 8 na východní část sekce 7 se znovu vztyčenými náhrobky.
© Tomáš Berka, 09/2009
židovský hřbitov v Ivančicích
Dětské hroby v sekci 8. V pozadí východní část sekce 7 s nově vztyčenými náhrobky.
© Tomáš Berka, 09/2009
židovský hřbitov v Ivančicích
Náhrobky při severní stěně v sekci 7. Ta byla připojena k hřbitovu až po roce 1825.
© Tomáš Berka, 09/2009
židovský hřbitov v Ivančicích
Náhrobky v sekci 7. Ta byla připojena k hřbitovu až po roce 1825.
© Tomáš Berka, 09/2009
židovský hřbitov v Ivančicích
Náhrobky v sekci 7. Ta byla připojena k hřbitovu až po roce 1825.
© Tomáš Berka, 09/2009
židovský hřbitov v Ivančicích
Náhrobky při severní stěně v sekci 7. Ta byla připojena k hřbitovu až po roce 1825.
© Tomáš Berka, 09/2009
židovský hřbitov v Ivančicích
Západní část sekce 7. Ta byla připojena k hřbitovu až po roce 1825
© Tomáš Berka, 09/2009
židovský hřbitov v Ivančicích
Západní část sekce 7. Ta byla připojena k hřbitovu až po roce 1825.
© Tomáš Berka, 09/2009
židovský hřbitov v Ivančicích
Západní část sekce 7. Ta byla připojena k hřbitovu až po roce 1825.
© Tomáš Berka, 09/2009
židovský hřbitov v Ivančicích
Rabínský vršek v sekci 2. První zprava je náhrobek rabína Beera Oppenheima (†1859).
© Tomáš Berka, 09/2009
židovský hřbitov v Ivančicích
Severní část sekce 9.
© Tomáš Berka, 09/2009
židovský hřbitov v Ivančicích
Severozápadní roh hřbitova, sekce 9 a 6.
© Tomáš Berka, 09/2009
židovský hřbitov v Ivančicích
Náhrobek Ašera Zeliga v sekci 6.
© Tomáš Berka, 09/2009
židovský hřbitov v Ivančicích
Náhrobky v sekci 6 podél západní stěny.
© Tomáš Berka, 09/2009
židovský hřbitov v Ivančicích
Sekce 9 je nejrozsáhlejší plochou s ojedinělými shluky náhrobků jako pozůstatky souvislých řad.
© Tomáš Berka, 09/2009
židovský hřbitov v Ivančicích
Sekce 9 je nejrozsáhlejší plochou s ojedinělými shluky náhrobků jako pozůstatky souvislých řad.
© Tomáš Berka, 09/2009
židovský hřbitov v Ivančicích
Obřadní síň a pohled na nejstarší část (sekce 5) s ohradní zdí podél Mřenkového potoka
© Tomáš Berka, 09/2009
židovský hřbitov v Ivančicích
Obřadní síň z roku 1905
© Tomáš Berka, 09/2009
Přihlášení
Email
Password
Přihlásit
×
Tento web používá cookies pro správnou funkci, analytiku a marketing.
Více informací
Přijmout vše
Odmítnout
Nastavení
Nastavení cookies
Nutné cookies
Analytické cookies
Marketingové cookies
Uložit
Nastavení cookies
×
Nutné cookies
Analytické cookies
Marketingové cookies